Na weekend zamkną przejazd kolejowy

70

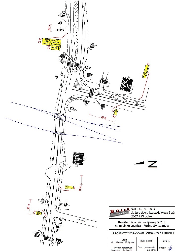
Wiadomość z ostatniej chwili. Firma remontująca linię kolejową Legnica-Rudna Gwiazdanów właśnie poinformowała lubiński magistrat, że na weekend (19 i 20 maja) jest zmuszona zamknąć przejazd kolejowy na ulicy Stary Lubin.

Fot. Zdjęcie ilustracyjne

Jak tłumaczą przedstawiciele firmy, zamknięcie przejazdu jest konieczne w związku z nieprzewidzianymi komplikacjami i koniecznością wykonania pilnych prac torowych.

Zamknięcie przejazdu będzie się wiązało z utrudnianiami w ruchu, dlatego kierowcy muszą uważać i stosować się do tymczasowego oznakowania.

Poniżej przygotowane mapki i wyznaczone objazdy.


POWIĄZANE ARTYKUŁY