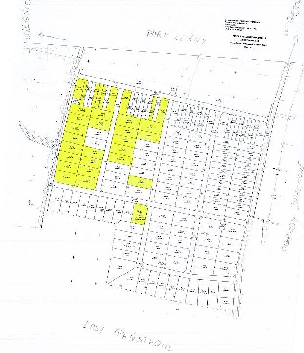
Lubiński magistrat wystawił na sprzedaż 32 działki znajdujące się w mieście. Można kupić ziemię na nowym osiedlu Polesie. Przetargi odbędą się w grudniu.

Miasto sprzedaje tym razem 23 działki pod zabudowę jednorodzinną oraz 9 pod zabudowę szeregową.
W przypadku domków jednorodzinnych wolno stojących do wyboru są grunty o powierzchni od 829 mkw. do 1115 mkw. Ceny wywoławcze kształtują się od 113 do 150 tys. zł.
Przy zabudowie jednorodzinnej szeregowej można wybierać w gruntach o powierzchni od 395 mkw. do 798 mkw. W tym przypadku ceny wywoławcze zaczynają się od 63 i kończą na 115 tys. zł.
Miasto sprzedaje nieruchomości mieszkańcom podczas przetargów. Każda z działek sprzedawana jest osobno, by równo dostęp do nowych terenów mieli zarówno indywidualni mieszkańcy, jak i deweloperzy.
Aby wziąć udział w postępowaniu, wcześniej należy wpłacić wadium. Terminy są różne w zależności od ziemi – wadium trzeba wpłacać na kilka dni przed przetargiem do 7 lub 8 grudnia. Dokładne informacje można znaleźć w BIP-ie Urzędu Miejskiego w Lubinie.
Przetargi odbędą się 11, 14, 15, 16 i 17 grudnia.
Dodatkowe informacje na temat przetargów można uzyskać w wydziale gospodarki gruntami, architektury i ochrony środowiska Urzędu Miejskiego w Lubinie, pod numerem telefonu 76 74 68 156. Szczegóły dostępne są również w BIP-ie Urzędu Miejskiego w Lubinie: przetargi na działki pod zabudowę szeregową i przetargi na działki pod zabudowę jednorodzinną wolno stojącą.
Polesie będzie kolejnym – po Zalesiu – osiedlem w Lubinie. Osiedle powstaje w rejonie ulicy Legnickiej, parku Leśnego i i ogrodów działkowych „Biedronka”, na obrzeżach południowej części miasta, w odległości około 700 m od zabudowań osiedla Przylesie, 1200 m od zabudowań na terenie wsi Osiek oraz około 2500 m od ścisłego centrum miasta. Jak mówił prezydent Lubina Robert Raczyński, nowe osiedle jest niezbędne, bo miasto się rozwija.
Teren został podzielony w sumie na 155 działek.
Ogłoszenie zabudowa jednorodzinna POLESIE
Ogłoszenie zabudowa szeregowa POLESIE






