Julka – kiedyś agresywna, brutalnie przywiązana kablem do barierki w centrum miasta. Za swoją agresję miała zostać uśpiona. Teraz można wsadzić jej rękę do pyska. O pomoc dla psiny apeluje Towarzystwo Opieki nad Zwierzętami w Lubinie.

Wracamy do znanej czytelnikom Julki. TOZ ponownie zbiera fundusze na pomoc dla suczki. Julka żyje w ciągłym bólu – problemy z biodrami utrudniają jej bieganie i skakanie. U psiaka zdiagnozowano bowiem dysplazję stawów biodrowych. Dodatkowo ma silną anemię i szybko traci na wadze. Początkowo planowano przeprowadzenie operacji, ale teraz nadarzyła się inna szansa na odzyskanie zdrowia – syntetyczna wiskoproteza.
– Prosimy o wsparcie finansowe dla Julki, żeby mogła żyć bez bólu – apeluje TOZ w Lubinie.
Julia to owczarkowata sunia. W 2016 r. młodą suczkę przywiązano kablem do barierki przed budynkiem TEB Edukacja. Wtedy obraz nędzy i rozpaczy – wychudzona, przestraszona i agresywna.
– Gdy trafiła pod opiekę lecznicy i naszą, atakowała wszystkich. Strach przed człowiekiem był tak ogromny, że nikt nie był w stanie do niej podejść – mówią wolontariusze TOZ.
Jak udało się ustalić, psina była katowana przez kolegów byłej właścicielki.
Julka była tak agresywna, że planowano ją uśpić. Dzięki pracy i wsparciu kilku osób udało się tego uniknąć. – Dwa lata temu chciała mnie zjeść, dziś wkładam jej rękę do pyska – mówi Karolina Lorenc z TOZ.

Agresję udało się wyeliminować dzięki zaangażowaniu opiekunów – ci poświęcali jej kilka godzin dziennie, by przyzwyczaiła się do człowieka. Powoli dochodziła do siebie i odzyskała wiarę w ludzi.
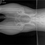
Niestety stan zdrowia suczki od początku był zły. Julka wymagała długiego procesu leczenia i opieki profesjonalistów. Na początku 2017 r. trafiła do hoteliku w Warszawie, gdzie miała mieć zapewnioną opiekę behawioralną oraz weterynaryjną. Tam zdiagnozowano u suczki ciężką dysplazję stawów biodrowych oraz bardzo silną anemię.
– Julka dziś jest piękną, łagodną 25-kilogramową kuleczką. Jej wdzięczność za nowe życie powala na kolana. Suczka odzyskała równowagę emocjonalną, ale wciąż przeszkodą są problemy natury fizycznej. Dysplazja stawów biodrowych utrudnia suni bieganie, skakanie i inne czynności. Wcześniej sądziliśmy, że będzie musiała przejść operację. Teraz znaleźliśmy nowe rozwiązanie – opowiada Karolina Lorenc.
Pomoc dla Julki czeka na nią w Gdańsku lub bliżej – we Wrocławiu. Nowa metoda Noltrex to syntetyczna wiskoproteza o właściwościach podobnych do mazi stawowej. Jej bardzo wysoka gęstość wspomaga amortyzacją stawu, zapobiegając otarciom, niwelując ból, a zawarte w niej jony srebra działają bakteriostatycznie. Wiskoproteza pomaga zachować integralność chrząstki stawowej, co jest szczególnie istotne w przewlekłych chorobach zwyrodnieniowych.
Pieniądze można wpłacać bezpośrednio na stronie zbiórki. Losy suczki można śledzić na Facebooku.











